Local Service Overview

Get Ants Extermination Service in Alvin, TX

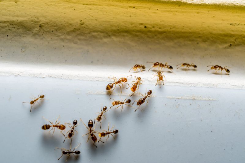
Ants extermination services for property owners in Alvin, TX, and nearby areas address ant infestations, prevent future invasions, and handle residential and commercial pest control projects.

Alvin, TX

Ants extermination services in Alvin, TX are essential for property owners seeking to maintain a comfortable and safe living or working environment. Ant invasions can compromise the functionality of a property by damaging structures, contaminating food, and creating unsanitary conditions. Professional extermination helps prevent these issues, ensuring spaces remain clean and secure. Additionally, addressing ant problems promptly can reduce the need for frequent repairs and ongoing maintenance, contributing to the property's durability and overall curb appeal.

Choosing expert ant extermination services offers several benefits, including peace of mind and long-term protection. Skilled service providers utilize effective methods to eliminate existing colonies and prevent future infestations, enhancing safety and comfort for residents and visitors. Proper treatment can also improve the property's appearance by reducing pest activity and unsightly trails, making it more inviting and well-maintained. Contacting local professionals ensures that ant issues are managed efficiently, supporting the property's functionality and aesthetic appeal.

Get Ants Extermination Service Quotes

  • Ants Infestation Removal - needed when ants invade kitchens, pantries, or living areas in residential or commercial properties.
  • Ant Control for New Constructions - required during building or renovation projects to prevent future ant problems.
  • Seasonal Ant Prevention - useful when ants become active during warmer months in homes and businesses near Alvin, TX.
  • Persistent Ant Problems - necessary when ant colonies have established deep within walls or foundations, resisting basic treatments.
  • Ant Exclusion Services - suitable for preventing ants from entering structures through cracks, gaps, or other entry points.

Get Ants Extermination Service Quotes

Ants Extermination Service
Ants Extermination Service
Ants Extermination Service

Ants extermination services involve identifying and eliminating ant infestations within residential, commercial, or industrial properties. Professionals typically conduct thorough inspections to determine the extent of the problem and locate the ant colonies. Treatment methods may include the application of targeted insecticides, baiting systems, and other pest control techniques designed to eradicate ants and prevent future invasions. These services aim to address both visible ant activity and hidden nests that can lead to recurring issues if left untreated.

Ants pose various problems for property owners, including damage to structures, contamination of food supplies, and general nuisance. Certain species, such as carpenter ants, can cause structural damage by burrowing into wood, while others may invade kitchens and pantries, contaminating food items. Infestations can also lead to increased stress and discomfort for residents or employees. Professional extermination services help mitigate these issues by effectively removing ant populations and implementing measures to reduce the likelihood of re-infestation.

Properties that commonly utilize ants extermination services include single-family homes, apartment complexes, restaurants, and retail stores. Residential properties often seek treatment to protect food storage areas and prevent damage to wooden structures. Commercial properties, especially those involved in food service or retail, prioritize pest control to maintain hygiene standards and comply with health regulations. Additionally, warehouses and manufacturing facilities may require regular pest management to safeguard inventory and maintain operational integrity.

Engaging with local pest control providers ensures that property owners receive tailored solutions for their specific ant problems. These service providers utilize various treatment strategies based on the type of ant species and the severity of the infestation. Regular inspections and maintenance programs can also be recommended to monitor for potential re-infestations. Contacting local pros for ants extermination services can help restore comfort and safety to a property, ensuring that ant issues are addressed effectively and efficiently.

The overview below groups typical Ants Extermination Service projects into broad ranges so you can see how smaller, mid-sized, and larger jobs often compare in Alvin, TX.

In many markets, a large share of routine jobs stays in the lower and middle ranges, while only a smaller percentage of projects moves into the highest bands when the work is more complex or site conditions are harder than average.

Initial Inspection - The cost for an ant extermination inspection typically ranges from $50 to $150, depending on the property size and complexity. Larger homes or commercial properties may incur higher fees. This fee often covers identifying ant species and nesting areas.

Spot Treatment - Spot treatments usually cost between $75 and $200 per session, with prices varying based on the infestation severity and treatment area. Smaller infestations may be on the lower end, while extensive nests can increase costs. This service targets visible ant colonies and entry points.

Full Property Treatment - Complete property treatments generally range from $150 to $400, depending on the size of the property and treatment methods used. Larger or multi-story buildings tend to have higher costs. This approach aims to eliminate ants throughout the entire property.

Ongoing Maintenance - Ongoing ant control services can cost between $50 and $150 per visit, with frequency influencing overall expenses. Regular visits help prevent future infestations and may include barrier treatments or monitoring. The exact price varies based on property size and service frequency.

Actual totals will depend on details like access to the work area, the scope of the project, and the materials selected, so use these as general starting points rather than exact figures.

Get an Ants Extermination Service Quote

Ants Extermination - Local pest control providers offer specialized services to eliminate ant colonies and prevent future infestations in residential and commercial properties.

Ants Inspection - Professionals conduct thorough inspections to identify ant entry points, nesting sites, and infestation severity to inform effective treatment plans.

Ants Prevention - Service providers implement barrier methods and sanitation recommendations to reduce the likelihood of ant re-infestation in homes and businesses.

Ants Baiting - Experts set up bait stations that attract and eliminate ants at the source, helping to control colonies efficiently and safely.

Ants Barrier Treatments - Local pros apply residual barrier treatments around structures to create a protective zone against ant entry.

Ants Removal - Professionals utilize targeted techniques to remove existing ant populations and restore a pest-free environment.

Ants Extermination Service

When evaluating ant extermination services, experience is a key factor to consider. Local providers often have extensive knowledge of the specific ant species prevalent in Alvin, TX, and surrounding areas, allowing them to tailor their approach effectively. It’s helpful to review how long a contractor has been serving the community, as well as their familiarity with common local pest issues, to gauge their capability in handling the job efficiently and thoroughly.

Clear communication and well-defined expectations are essential when working with a pest control professional. Reputable local pros typically provide detailed explanations of their treatment methods, what homeowners can expect during and after service, and any necessary follow-up procedures. Establishing open lines of communication ensures that concerns are addressed promptly and that the homeowner understands the scope of work involved.

Reputable references and a history of positive customer feedback can offer insight into the reliability and professionalism of local ant extermination providers. Homeowners are encouraged to seek recommendations from neighbors or review online testimonials to gauge satisfaction levels. While the lead-generation platform introduces local options, it’s important to verify the reputation and communication style of each contractor directly, ensuring that the chosen professional aligns with the homeowner’s expectations for experience and service quality.

Get an Ants Extermination Service Quote

Property owners in Alvin, TX use Ants Extermination Service services for practical projects around their homes and businesses. The sections below highlight everyday jobs and straightforward project options.

Ants Extermination Service
Ants Extermination Service

Ants extermination services are often sought by property owners in Alvin, TX, facing common household issues such as ant invasions in kitchens, bathrooms, or around the foundation. These pests can appear suddenly, especially during warmer months, and may quickly become a persistent problem if not addressed promptly. Local service providers are available to assess the situation, identify the ant species, and implement targeted treatments to help restore comfort and cleanliness to residential and commercial spaces.

Property owners may also seek ants extermination when noticing signs of infestation, like ant trails or nests near exterior walls, entry points, or landscaping features. In addition to immediate removal, professionals can advise on preventative measures to reduce the likelihood of future invasions. Connecting with experienced local pros ensures that solutions are tailored to the specific needs of homes and businesses in Alvin, TX, helping to maintain a pest-free environment.

Get an Ants Extermination Service Quote

How do ant extermination services work? Ant extermination services typically involve inspecting the affected area, identifying ant species and entry points, and applying targeted treatments to eliminate colonies and prevent future infestations.

Are ant extermination treatments safe for pets and children? Most professional ant treatments are designed to be safe when applied by trained technicians, but it is advisable to follow any specific safety instructions provided by the service provider.

How long does an ant extermination treatment usually take? The duration of an ant extermination service can vary depending on the extent of the infestation, but many treatments are completed within a few hours.

Will I need multiple treatments to control an ant problem? Some ant infestations may require multiple treatments to fully eliminate colonies and ensure long-term control, especially in severe cases.

How can I prevent future ant infestations? Preventative measures include keeping surfaces clean, sealing entry points, and removing food sources, with professional services providing advice tailored to specific situations.

Ants Extermination Solutions - Local service providers offer targeted treatments to eliminate ant infestations and prevent future invasions.

Inspection and Identification - Pros can assess property conditions to identify ant species and determine the most effective extermination methods.

Barrier Treatments - Professionals apply preventive barriers around structures to keep ants from entering living or working spaces.

Ongoing Monitoring and Maintenance - Service providers can establish plans for regular inspections to ensure ant problems remain resolved.

Ants Extermination Service

Considering Ants Extermination Service for a property in Alvin, TX? The sections above highlight common project types, practical options, and details that often shape the scope of work.

When you are ready, use the quote form to share a few details about your project. Local pros can review the basics and respond with options that match what you have in mind.

Get an Ants Extermination Service Quote

Ants Extermination Quotes

Our Trusted Partners
Cantu Pest Control
Orkin
Hawx Pest Control