Local Service Overview

Get Ants Extermination Service in Rosenberg, TX

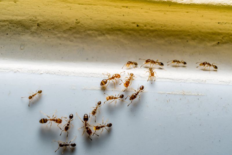
Ants extermination services for property owners in Rosenberg, TX, and nearby areas address ant infestations, prevent future invasions, and handle residential and commercial pest control projects.

Rosenberg, TX

Ants extermination services in Rosenberg, TX, are essential for property owners seeking to maintain a comfortable and safe living or working environment. Effective removal helps prevent ant infestations that can disrupt daily activities, cause structural damage, or contaminate food supplies. By addressing ant problems promptly, property owners can enjoy a more functional space with reduced concerns about pests that may compromise health or safety.

Additionally, professional ant extermination can enhance curb appeal and durability of a property. Eliminating visible ant activity and preventing future invasions contribute to a cleaner, more attractive exterior. Proper pest control also reduces the need for ongoing maintenance, supporting long-term property durability and preserving its value over time.

Get Ants Extermination Service Quotes

  • Ants Extermination Services are needed when homeowners notice ant activity inside or around their property in Rosenberg, TX and nearby areas.
  • These services are appropriate for businesses experiencing ant infestations that threaten hygiene and customer experience.
  • Residential properties requiring ant control after discovering large colonies or persistent ant trails can benefit from professional extermination.
  • Ant extermination is often sought in cases where previous DIY efforts have failed to eliminate stubborn ant populations.
  • Commercial establishments facing recurring ant problems that impact operations may contact local pros for effective treatment options.

Get Ants Extermination Service Quotes

Ants Extermination Service
Ants Extermination Service
Ants Extermination Service

Ants extermination services involve identifying and eliminating ant infestations within residential, commercial, or industrial properties. Pest control professionals typically conduct thorough inspections to locate ant colonies and determine the species involved. Treatment methods may include applying targeted baits, insecticidal dusts, or liquid barriers designed to eradicate ants at their source. These services aim to reduce or eliminate ant populations, preventing further intrusion and damage caused by these persistent pests.

Ant problems can lead to various issues for property owners. Ants can contaminate food supplies, create unsightly trails, and invade living or working spaces, which may cause discomfort or health concerns. Certain species, such as fire ants, can pose more serious risks due to their painful stings and aggressive behavior. Extermination services help address these problems by removing existing colonies and implementing preventative measures to discourage future invasions, thereby maintaining a cleaner, safer environment.

Properties that commonly seek ants extermination services include homes, apartment complexes, restaurants, grocery stores, and warehouses. Residential properties often experience ant issues in kitchens, bathrooms, or around foundations, especially during warmer months. Commercial properties, particularly those involved in food storage or preparation, require regular pest management to meet health and safety standards. Additionally, outdoor spaces such as gardens and patios may also benefit from targeted treatments to control ant populations and prevent them from migrating indoors.

Professional ant extermination services focus on customized solutions based on the specific property and infestation severity. Service providers utilize various techniques to effectively manage ant problems, from interior treatments to exterior barriers and ongoing monitoring. Contacting local pest control experts can help property owners find tailored solutions to manage and prevent ant issues, ensuring a pest-free environment.

The overview below groups typical Ants Extermination Service projects into broad ranges so you can see how smaller, mid-sized, and larger jobs often compare in Rosenberg, TX.

In many markets, a large share of routine jobs stays in the lower and middle ranges, while only a smaller percentage of projects moves into the highest bands when the work is more complex or site conditions are harder than average.

Initial Inspection Cost - Typically ranges from $50 to $150 for a professional assessment of ant activity and entry points. Prices vary based on property size and complexity of the infestation.

Treatment Service Fees - Ant extermination treatments generally cost between $100 and $300 per service. The cost depends on the extent of the infestation and the treatment method used.

Barrier and Preventative Treatments - Applying barrier treatments around a property can range from $150 to $400. This service aims to reduce future ant invasions and is priced based on property size.

Ongoing Monitoring and Follow-up - Follow-up inspections or treatments may cost $75 to $200 each visit. These services help ensure the ant problem is fully resolved over time.

Actual totals will depend on details like access to the work area, the scope of the project, and the materials selected, so use these as general starting points rather than exact figures.

Get an Ants Extermination Service Quote

Ants Extermination - Local pest control providers offer targeted treatments to eliminate ant colonies and prevent future infestations in residential and commercial properties.

Ants Control for Homes - Specialists focus on identifying ant entry points and applying effective solutions to protect homes from ant invasions.

Commercial Ants Removal - Service providers deliver customized ant extermination plans for businesses to maintain pest-free environments.

Outdoor Ants Treatment - Professionals treat yards and outdoor spaces to control ant populations and reduce the risk of indoor infestations.

Ants Prevention Services - Local pros implement strategies to block ant access points and minimize the likelihood of future ant problems.

Eco-Friendly Ants Extermination - Some providers utilize environmentally conscious methods to manage ant issues while prioritizing safety.

Ants Extermination Service

When comparing ants extermination services, experience is a key factor to consider. Local professionals often have extensive knowledge of the specific types of ants prevalent in Rosenberg, TX, and surrounding areas. Their familiarity with local pest behaviors and environmental conditions can contribute to more effective treatment strategies. Additionally, experienced service providers tend to have a track record of handling various ant infestations, which can be an indicator of their ability to address unique situations efficiently.

Clear communication and written expectations are essential when selecting an extermination service. Reputable local pros typically provide detailed information about their methods, what homeowners can expect during and after treatment, and any necessary preparations. Having these details in writing helps ensure transparency and aligns expectations, reducing potential misunderstandings. It’s beneficial to engage with service providers who are willing to answer questions thoroughly and provide comprehensive explanations about their approach.

Reputation and references play a significant role in evaluating local ant extermination services. Reliable professionals often have a history of satisfied clients and can offer references or testimonials from homeowners in the community. These references can provide insights into the quality of service, professionalism, and effectiveness of the treatments. Good communication channels, such as prompt responses and clarity in interactions, further support a positive experience. Since the site introduces local options rather than performing the work directly, it’s advisable to contact multiple providers to compare their experience, expectations, and reputation before making a decision.

Get an Ants Extermination Service Quote

Property owners in Rosenberg, TX use Ants Extermination Service services for practical projects around their homes and businesses. The sections below highlight everyday jobs and straightforward project options.

Ants Extermination Service
Ants Extermination Service

Ants extermination services are commonly sought by property owners in Rosenberg, TX when they notice persistent ant activity around their homes or businesses. Common situations include discovering ant trails in kitchens, bathrooms, or outdoor areas, especially during warmer months when ants become more active. Property owners may also seek professional assistance after attempting DIY solutions that fail to eliminate the infestation or when they want to prevent future ant problems from developing.

In addition to visible ant colonies, property owners might look for extermination services to address recurring issues or to protect their structures from potential damage caused by certain ant species. Ants can invade food storage areas, contaminate pantry items, or create large nests that compromise the integrity of wooden structures. Connecting with local pest control providers can help address these everyday concerns efficiently and effectively.

Get an Ants Extermination Service Quote

How do ant extermination services work? Ant extermination services typically involve inspecting affected areas, applying targeted treatments to eliminate colonies, and advising on prevention methods to reduce future infestations.

Are ant extermination treatments safe for pets and children? Most professional ant treatments are designed to be safe when applied by experienced technicians, but it's recommended to follow any safety instructions provided by the service provider.

How long does an ant extermination treatment usually last? The duration of effectiveness varies depending on the treatment type and the extent of the infestation, but many services offer ongoing prevention advice to help maintain results.

Can ant extermination services prevent future ant problems? Yes, many providers include recommendations and treatments aimed at preventing future ant invasions by addressing entry points and nesting sites.

How can I identify if I need ant extermination services? Signs include visible ant trails, increased ant activity indoors or outdoors, and the presence of ant nests, which may warrant professional assessment and treatment.

Ants Inspection Services - Professionals can identify ant infestations and determine the extent of the problem to develop an effective treatment plan.

Ants Treatment Solutions - Local service providers offer targeted extermination methods to eliminate ants from residential and commercial properties.

Ants Prevention Advice - Experts can recommend strategies to reduce attractants and prevent future ant invasions around the property.

Ants Removal Maintenance - Ongoing monitoring and treatment options are available to ensure ants do not return after initial extermination.

Ants Extermination Service

Considering Ants Extermination Service for a property in Rosenberg, TX? The sections above highlight common project types, practical options, and details that often shape the scope of work.

When you are ready, use the quote form to share a few details about your project. Local pros can review the basics and respond with options that match what you have in mind.

Get an Ants Extermination Service Quote

Ants Extermination Quotes

Our Trusted Partners
Cantu Pest Control
Orkin
Hawx Pest Control