Local Service Overview

Get Ants Extermination Service in Missouri City, TX

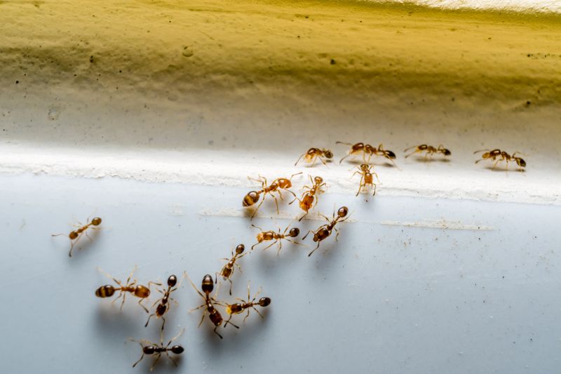
Ants extermination services for property owners in Missouri City, TX, and nearby areas address ant infestations, prevent future invasions, and handle residential and commercial pest control projects.

Missouri City, TX

Ants extermination services are essential for property owners in Missouri City, TX, seeking to maintain a comfortable and safe living environment. Ant infestations can disrupt daily routines, cause property damage, and create health concerns, making professional removal a practical solution. Service providers focus on eliminating existing colonies and implementing preventative measures to reduce the likelihood of future invasions, helping residents enjoy a more functional and worry-free space.

Engaging with local extermination experts offers numerous benefits, including enhanced durability of property structures by preventing ant-related damage, reduced ongoing maintenance needs, and improved curb appeal. A pest-free property not only provides peace of mind but also preserves the aesthetic value of a home or business, making it a worthwhile investment for those aiming to uphold their property's overall condition and appearance.

Get Ants Extermination Service Quotes

  • Ants Infestation Control - needed when ants invade kitchens, pantries, or other indoor spaces in residential or commercial properties.
  • Ant Prevention Services - suitable for homeowners seeking to stop ant problems before they start, especially in areas prone to infestations.
  • Outdoor Ant Extermination - required when ants establish colonies around yards, gardens, or building exteriors in nearby neighborhoods.
  • Residential Ant Treatment - appropriate for households experiencing persistent ant activity inside living spaces.
  • Commercial Ant Management - necessary for businesses needing to maintain pest-free environments in retail, office, or food service areas.

Get Ants Extermination Service Quotes

Ants Extermination Service
Ants Extermination Service
Ants Extermination Service

Ants extermination services involve identifying and eliminating ant infestations within residential, commercial, or industrial properties. Professional pest control providers typically conduct thorough inspections to determine the species of ants present and assess the extent of the problem. Treatment methods may include the application of targeted baits, insecticides, or barriers designed to eradicate existing colonies and prevent future invasions. These services aim to effectively reduce ant populations and restore a pest-free environment.

Ant infestations can cause a variety of problems, including property damage, contamination of food supplies, and aesthetic concerns. Certain ant species, such as carpenter ants, are known to damage wood structures, potentially leading to costly repairs if left untreated. Additionally, ants can be a nuisance, invading kitchens, pantries, and other living or working spaces, which can disrupt daily activities. Professional extermination services help address these issues by removing the pests and implementing measures to minimize the likelihood of recurrence.

Properties that commonly utilize ants extermination services include single-family homes, apartment complexes, restaurants, grocery stores, and office buildings. Residential properties often seek treatment when ants are seen in kitchens or around entry points, while larger commercial properties may require ongoing pest management solutions to maintain hygiene standards and comply with health regulations. Warehouses and food production facilities are also frequent users of ant extermination services due to the potential impact on product safety and cleanliness.

Engaging local pest control professionals for ants extermination provides a tailored approach to managing infestations. These experts are equipped to handle different environments and ant species, ensuring that treatments are appropriate for the specific property type. Regular inspections and preventative treatments can help maintain a pest-free space, reducing the risk of future ant problems. Contacting a local service provider is a practical step toward addressing ant issues effectively and maintaining a clean, safe environment.

The overview below groups typical Ants Extermination Service projects into broad ranges so you can see how smaller, mid-sized, and larger jobs often compare in Missouri City, TX.

In many markets, a large share of routine jobs stays in the lower and middle ranges, while only a smaller percentage of projects moves into the highest bands when the work is more complex or site conditions are harder than average.

Initial Inspection and Treatment - The cost for an ant extermination service typically ranges from $150 to $300 for a single treatment. This includes an inspection and targeted application to eliminate visible ant colonies. Prices can vary based on the extent of the infestation and property size.

Full Property Treatment - Comprehensive treatments for entire homes or large properties usually cost between $300 and $600. This service often involves multiple applications and a detailed approach to ensure all ant activity is addressed.

Recurring Service Plans - Ongoing ant control plans generally range from $50 to $100 per visit, with discounts often available for multi-visit packages. These plans are designed to maintain control and prevent future infestations.

Emergency or Spot Treatments - For quick, targeted ant removal, prices typically fall between $75 and $200 per treatment. These are suitable for immediate issues or localized ant colonies needing prompt attention.

Actual totals will depend on details like access to the work area, the scope of the project, and the materials selected, so use these as general starting points rather than exact figures.

Get an Ants Extermination Service Quote

Ants Extermination services involve professionals who identify ant nesting areas and implement targeted removal methods to eliminate infestations effectively.

Local ant extermination experts provide tailored treatment plans to address specific ant species and infestation levels in Missouri City, TX and surrounding areas.

These services include inspection, baiting, and chemical treatments designed to prevent future ant activity around residential and commercial properties.

Professionals may also advise on preventive measures to reduce the likelihood of ant re-infestation in the future.

Ants extermination providers utilize techniques suited to both indoor and outdoor environments to ensure comprehensive control.

Contacting local specialists ensures access to experienced service providers for effective ant infestation management.

Ants Extermination Service

When selecting a professional for ant extermination services, it’s important to consider their experience in handling pest issues similar to those encountered in Missouri City, TX. Pros with a proven track record often demonstrate familiarity with local ant species and effective treatment methods, which can contribute to more reliable results. Homeowners should look for service providers who can clearly outline their approach and share their background in pest control, ensuring that the chosen professional has the necessary expertise to address the specific ant problems present in the area.

Clear communication and well-defined written expectations are essential when working with local pest control providers. Reputable pros typically provide detailed information about the scope of work, treatment procedures, and any preparations needed before service. This transparency helps homeowners understand what to expect and facilitates a smoother service experience. When comparing options, it is beneficial to seek out providers who are open to answering questions and who offer comprehensive explanations about their methods and policies.

References and reputation play a vital role in evaluating local ant extermination services. Reliable service providers often have established relationships with satisfied clients and can offer references or testimonials upon request. Additionally, researching reviews or ratings from other homeowners in Missouri City, TX, can provide insights into the consistency and quality of the pros’ work. Effective communication, combined with a solid reputation and transparent expectations, helps ensure that homeowners find a pest control provider well-suited to their needs, without implying endorsement or guarantees.

Get an Ants Extermination Service Quote

Property owners in Missouri City, TX use Ants Extermination Service services for practical projects around their homes and businesses. The sections below highlight everyday jobs and straightforward project options.

Ants Extermination Service
Ants Extermination Service

Ants extermination services are commonly sought by property owners in Missouri City, TX, who notice ant activity around their homes or businesses. Common situations include discovering ant trails in kitchens, bathrooms, or outdoor areas, which can indicate an ongoing infestation. Property owners may also seek professional assistance after attempting DIY methods that fail to eliminate the problem, or when they want to prevent future invasions from ant colonies that can cause damage or hygiene concerns.

In addition to visible ant problems, property owners often pursue extermination services as a proactive measure to protect their structures and landscape. Ants can invade through small cracks or gaps, especially during warmer months, and establishing a barrier can help prevent larger infestations. Local service providers can assess the property, identify entry points, and implement targeted treatments to address current issues and reduce the likelihood of future ant activity.

Get an Ants Extermination Service Quote

How do ant extermination services work? Ant extermination services typically involve inspecting the property to identify ant entry points and nests, then applying targeted treatments to eliminate the colony and prevent future infestations.

Are ant treatments safe for pets and children? Many ant extermination methods are designed to be safe for households, but it’s recommended to consult with local service providers about specific products and safety precautions.

How long does an ant extermination treatment last? The duration of effectiveness can vary depending on the treatment method used and the extent of the infestation; professional providers can offer guidance on maintenance and follow-up services.

Can ant extermination services prevent future infestations? Yes, many service providers offer ongoing prevention strategies and advice to help reduce the likelihood of future ant problems.

What should I do before a pest control visit? Homeowners are usually advised to clear the area around ant entry points and follow any specific instructions provided by the service provider to ensure effective treatment.

Ants Identification and Prevention - Local pest control providers can assess ant activity and recommend effective prevention strategies to reduce future infestations.

Professional Ant Extermination - Experienced service providers use targeted treatments to eliminate ant colonies and control ongoing problems.

Infestation Monitoring and Follow-up - Pros can monitor ant activity after treatment and perform follow-up services to ensure complete eradication.

Customized Pest Management Plans - Local experts develop tailored plans based on the specific ant species and infestation severity.

Ants Extermination Service

Considering Ants Extermination Service for a property in Missouri City, TX? The sections above highlight common project types, practical options, and details that often shape the scope of work.

When you are ready, use the quote form to share a few details about your project. Local pros can review the basics and respond with options that match what you have in mind.

Get an Ants Extermination Service Quote

Ants Extermination Quotes

Our Trusted Partners
Cantu Pest Control
Orkin
Hawx Pest Control