Local Service Overview

Get Ants Extermination Service in South Houston, TX

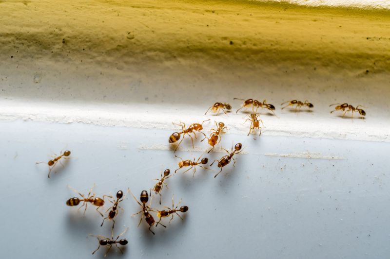
Ants extermination services for property owners in South Houston, TX, and nearby areas address ant infestations, prevent future invasions, and handle residential and commercial pest control projects.

South Houston, TX

Ants extermination services are a practical solution for property owners in South Houston, TX looking to maintain a comfortable and safe living environment. Infestations can disrupt daily routines, cause property damage, and pose health risks, making prompt and effective treatment essential. Local service providers utilize proven methods to eliminate ant colonies, helping to restore peace of mind and ensure the functionality of outdoor and indoor spaces.

Choosing professional ant extermination offers benefits such as enhanced curb appeal and reduced maintenance needs. A pest-free property not only looks more inviting but also prevents future infestations that can compromise the durability of structures and landscaping. Engaging experienced contractors can contribute to a more durable, attractive property while minimizing ongoing pest-related concerns.

Get Ants Extermination Service Quotes

  • Ants Extermination - Needed when ants invade kitchens, pantries, or other indoor spaces in South Houston, TX and nearby areas.
  • Ants Extermination - Required when outdoor ant colonies threaten to spread into residential or commercial properties in the region.
  • Ants Extermination - Sought after when ant activity persists despite basic cleaning and preventative measures.
  • Ants Extermination - Necessary when multiple ant trails or nests are visible around the exterior of a property in nearby neighborhoods.
  • Ants Extermination - Essential when ant infestations cause concern for hygiene and property damage in South Houston and surrounding communities.

Get Ants Extermination Service Quotes

Ants Extermination Service
Ants Extermination Service
Ants Extermination Service

Ants extermination services involve identifying and eliminating ant infestations within residential, commercial, or industrial properties. These services typically include thorough inspections to determine the extent of the problem, followed by targeted treatments to eradicate existing colonies. Pest control professionals may use a combination of baits, sprays, and dusts to eliminate ants and prevent future invasions. The goal is to address the root causes of the infestation, such as entry points and food sources, ensuring a comprehensive approach to pest management.

Ant problems can cause significant inconveniences and property damage, especially when colonies grow large or hard to control. Ants can contaminate food supplies, create unsanitary conditions, and in some cases, cause structural damage by nesting within walls or foundations. Extermination services help solve these issues by removing the pests efficiently and reducing the risk of recurring infestations. Proper treatment also minimizes the need for residents or property owners to handle pest control chemicals themselves, promoting a safer environment.

Various types of properties utilize ants extermination services, including single-family homes, apartment complexes, restaurants, and retail stores. Homes in areas with high outdoor activity or proximity to wooded regions tend to experience more frequent ant issues. Commercial properties, especially food establishments, often require regular pest management to meet health and safety standards. Industrial facilities may also seek professional extermination to prevent disruptions caused by ant infestations, which could impact operations or product safety.

Professional ant extermination services are tailored to the specific needs of each property type and infestation severity. Local pest control providers assess the unique conditions of each site and develop customized treatment plans to effectively address ant problems. These services aim to restore comfort and safety by controlling pests while reducing the likelihood of future invasions. Property owners or managers interested in ant extermination can contact local specialists to discuss their specific concerns and arrange for professional assistance.

The overview below groups typical Ants Extermination Service projects into broad ranges so you can see how smaller, mid-sized, and larger jobs often compare in South Houston, TX.

In many markets, a large share of routine jobs stays in the lower and middle ranges, while only a smaller percentage of projects moves into the highest bands when the work is more complex or site conditions are harder than average.

Initial Inspection and Treatment - The cost for an initial ant inspection and treatment typically ranges from $100 to $300, depending on the property size and severity of infestation. Example costs may be around $150 for a standard residential inspection. Prices vary based on local service providers and specific needs.

Per-Visit Service - Single-visit ant extermination services generally cost between $120 and $250. For example, a standard treatment for a small to medium home might be around $180. Costs can differ based on the extent of the ant problem and property size.

Ongoing Pest Management - Ongoing ant control programs or quarterly treatments usually range from $200 to $500 annually. An example might be a quarterly service plan costing approximately $400 per year. Pricing varies based on service frequency and property requirements.

Large Property or Commercial Service - For larger properties or commercial spaces, costs can range from $500 to over $1,000 per treatment. An example for a commercial building might be around $750 per visit. Prices depend on the size and complexity of the property involved.

Actual totals will depend on details like access to the work area, the scope of the project, and the materials selected, so use these as general starting points rather than exact figures.

Get an Ants Extermination Service Quote

Ants Extermination services connect homeowners with local pest control providers experienced in eliminating ant infestations in residential and commercial properties.

Residential Ant Control involves professionals who implement targeted treatments to remove ants from homes and prevent future invasions.

Commercial Ant Extermination services help businesses manage ant problems to maintain a pest-free environment and comply with health standards.

Emergency Ant Removal providers offer prompt assistance for sudden ant infestations that require immediate attention.

Ant Prevention Consulting services include advice and strategies from local experts to reduce the likelihood of future ant issues.

Eco-friendly Ant Control solutions are available through providers who utilize environmentally conscious methods to manage ant populations.

Ants Extermination Service

When selecting a professional for ant extermination services, experience is a key factor to consider. Local pros with a proven track record in pest control often have extensive knowledge of ant behaviors and effective treatment methods specific to South Houston, TX, and surrounding areas. Reviewing the background and duration of a service provider’s presence in the community can help gauge their familiarity with local ant issues and their ability to handle various infestations efficiently.

Clear communication of expectations is essential when working with an ant extermination service. Reputable providers typically offer detailed explanations of their treatment approaches, what homeowners can expect during and after the process, and any necessary preparations. Establishing transparent communication helps ensure that homeowners understand the scope of work and can make informed decisions about the services being provided.

Reputation and references are valuable indicators of a local service provider’s reliability. Pros with established reputations often have references or reviews from previous clients in the area, demonstrating consistent quality of work. When comparing options, it’s beneficial to seek out reputable references and verify the provider’s standing within the local community, ensuring that the chosen professional maintains a high standard of service and professionalism.

Get an Ants Extermination Service Quote

Property owners in South Houston, TX use Ants Extermination Service services for practical projects around their homes and businesses. The sections below highlight everyday jobs and straightforward project options.

Ants Extermination Service
Ants Extermination Service

Ants extermination services are commonly sought by property owners in South Houston, TX when they notice persistent ant activity around their homes or businesses. Common situations include discovering ant trails along walls, countertops, or entry points, especially during warmer months when ants seek shelter and food sources. Property owners may also request pest control assistance after noticing increased ant activity that disrupts daily routines or raises concerns about potential infestations.

In addition to visible ant colonies, property owners might look for extermination services to prevent future problems, particularly if previous attempts at DIY removal have failed. Factors such as food spills, unsealed entry points, or cluttered areas can attract ants, prompting residents and business owners to seek professional help to address the issue effectively. Local pest control providers in South Houston can assess the situation and recommend appropriate treatment options to help manage and prevent ant infestations.

Get an Ants Extermination Service Quote

How do ant extermination services work? Ant extermination services typically involve inspecting the property to identify ant colonies, applying targeted treatments to eliminate nests, and providing advice to prevent future infestations.

Are ant extermination treatments safe for pets and children? Many local pros use treatments that are safe when applied according to instructions; it is recommended to discuss safety concerns with the service provider before treatment.

How long does an ant extermination treatment take? The duration of treatment can vary depending on the extent of the infestation, but most services are completed within a few hours.

Will I need multiple treatments for ants? Depending on the severity of the ant problem, some cases may require follow-up treatments to ensure complete eradication.

What should I do before an ant extermination service? It is advised to clear the area of food, dishes, and clutter to allow access for the service provider and ensure effective treatment.

Ants Control Solutions - Professional service providers offer targeted treatments to eliminate ant infestations and prevent future invasions.

Inspection and Identification - Local experts can assess properties to identify ant species and determine the most effective extermination methods.

Barrier Treatments - Service providers apply barriers around structures to deter ants from entering living or working spaces.

Ongoing Prevention Advice - Pros can provide recommendations on sanitation and structural adjustments to reduce the likelihood of ant re-infestation.

Ants Extermination Service

Considering Ants Extermination Service for a property in South Houston, TX? The sections above highlight common project types, practical options, and details that often shape the scope of work.

When you are ready, use the quote form to share a few details about your project. Local pros can review the basics and respond with options that match what you have in mind.

Get an Ants Extermination Service Quote

Ants Extermination Quotes

Our Trusted Partners
Cantu Pest Control
Orkin
Hawx Pest Control